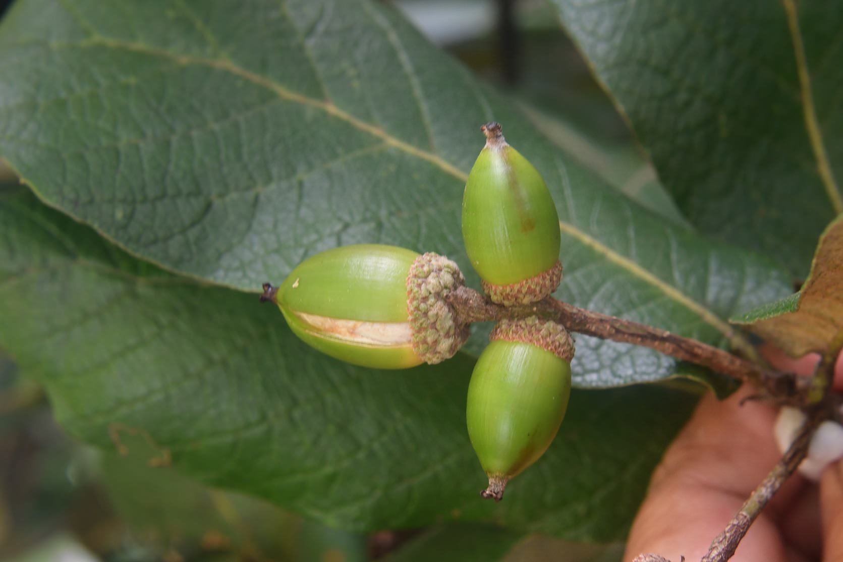
Quercus rugosa

Familia: Fagaceae

Nombres comunes: Encino quiebra hacha

Desliza hacia la derecha para ver más imágenes.

Cualidades de las Plantas:

Tipo de Planta:

Árboles

Altura Final:

De 4 a 8 metros

Anchura Final:

Sin preferencia

Forma:

Sin preferencia

Meses de Interés:

Diciembre, Enero, Noviembre y Octubre

Follaje:

Siempre verde

Color de Hojas:

Verdes

Forma de las Hojas:

Elíptica (elliptica): oval, sin punta marcada o nada. y Obovada, oboval (obovata): elíptica, en forma de lágrima.

Margen de las Hojas:

Entero

Color de Flores:

Sin preferencia

Tipo de Flores:

Sin preferencia

Fragancia:

Sin preferencia

Color de Frutos:

Sin preferencia

Color del Tallo:

Sin preferencia

Presentaciones:

Sin preferencia

Existencia en Inventario:

Sin preferencia

Premio Tigridia al Mérito:

Sin preferencia

Condiciones del Sitio:

Iluminación:

Luz total a parcial

Riego:

Moderado

Clima:

Sin preferencia

Tipo de Suelos:

Sin preferencia

PH:

Sin preferencia

Exposición al Viento:

Sin preferencia

Orientación:

Oeste

Humedad:

Sin preferencia

Tolerancia al Frío:

Sin preferencia

Resiliencia:

Tiempo de Madurez:

Sin preferencia

Mantenimiento:

Promedio

Recomendaciones de Uso:

✓ Campo agrícola

✓ Cerca viva

✓ Espacio urbano

✓ Farmacia viva

✓ Jardín boscoso

✓ Jardín comestible

✓ Jardín con pendiente

✓ Jardín informal

✓ Parques

✓ Restauración

Referencias Bibliográficas:

Fotografías 1: Neptalí Ramírez Marcial, NaturaLista Mexico, 2021 https://inaturalist-open-data.s3.amazonaws.com/photos/161747768/original.jpg 2: Neptalí Ramírez Marcial, NaturaLista Mexico, 2021 https://inaturalist-open-data.s3.amazonaws.com/photos/161747779/original.jpg 3: Neptalí Ramírez Marcial, NaturaLista Mexico, 2021 https://inaturalist-open-data.s3.amazonaws.com/photos/161747787/original.jpg 4: Gerardo Velasco Hernández, iNaturalist, 2022 https://inaturalist-open-data.s3.amazonaws.com/photos/191713302/original.jpg 5: gabrielalvarezsotelo, iNaturalist, 2019 https://inaturalist-open-data.s3.amazonaws.com/photos/33098866/original.jpg

Productores:

Nombre del Vivero Red Viverista
Dirección Av. Emiliano Zapata 127, Tlaltenango, 62170 Cuernavaca, Mor., México
Mapa Ver Mapa
Teléfonos 777 311 7205
Nombre del Productor Red Viverista
Correo ventas@redviverista.com
Historia Somos una empresa integradora de productos y servicios relacionados al viverismo y paisajismo, que surge de la necesidad de un grupo de viveristas de seis Estados (Morelos, Guerrero, Veracruz, Puebla, Estado de México, Hidalgo y Distrito Federal), para establecer un canal de comercialización con presencia a nivel nacional, para el mercado de mayoreo. Ver más en https://www.redviverista.com/

Regiones de su Área Natural de Distribución:

Estado de México

✓ Metepec

Comentarios:

No hay comentarios.

Debes iniciar sesión o crear una cuenta para escribir un comentario.

Quercus rugosa

Familia: Fagaceae

Nombres comunes: Encino quiebra hacha

Quercus rugosa Quercus rugosa Quercus rugosa Quercus rugosa Quercus rugosa

Cualidades de las Plantas:

Tipo de Planta:

Árboles

Altura Final:

De 4 a 8 metros

Anchura Final:

Sin preferencia

Forma:

Sin preferencia

Meses de Interés:

Diciembre, Enero, Noviembre y Octubre

Follaje:

Siempre verde

Color de Hojas:

Verdes

Forma de las Hojas:

Elíptica (elliptica): oval, sin punta marcada o nada. y Obovada, oboval (obovata): elíptica, en forma de lágrima.

Margen de las Hojas:

Entero

Color de Flores:

Sin preferencia

Tipo de Flores:

Sin preferencia

Fragancia:

Sin preferencia

Color de Frutos:

Sin preferencia

Color del Tallo:

Sin preferencia

Presentaciones:

Sin preferencia

Existencia en Inventario:

Sin preferencia

Premio Tigridia al Mérito:

Sin preferencia

Recomendaciones de Uso:

Campo agrícola,Cerca viva,Espacio urbano,Farmacia viva,Jardín boscoso,Jardín comestible,Jardín con pendiente,Jardín informal,Parques,Restauración

Condiciones del Sitio:

Iluminación:

Luz total a parcial

Riego:

Moderado

Clima:

Sin preferencia

Tipo de Suelos:

Sin preferencia

PH:

Sin preferencia

Exposición al Viento:

Sin preferencia

Orientación:

Oeste

Humedad:

Sin preferencia

Tolerancia al Frío:

Sin preferencia

Resiliencia:

Tiempo de Madurez:

Sin preferencia

Mantenimiento:

Promedio

Todos los derechos reservados © 2026 Plantid.

Suscríbete al Boletín de Plantid